genderequalitygoals

genderequalitygoals

Wednesday, 1 May 2024

Y is for Yucatan

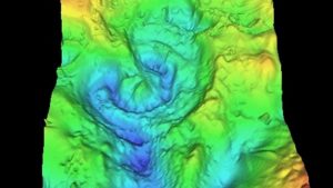
The Big One! Asteroid impact site in Chicxulub, Yucatan. Graphic from Atlantic. BOOM! or maybe it was boom...boom...fshhhh..whap booma-booma...boom..bubble boom glub glub Boom... Which was it? Luis Alvarez had one story, and he was laughed out of …
Read on blog or Reader
Site logo image THE PAGE TURNS Read on blog or Reader

Y is for Yucatan

kajmeister

May 1

The Big One! Asteroid impact site in Chicxulub, Yucatan. Graphic from Atlantic.

BOOM! or maybe it was boom...boom...fshhhh..whap booma-booma...boom..bubble boom glub glub Boom...

Which was it? Luis Alvarez had one story, and he was laughed out of the paleontologist's room. Until he wasn't. Gerta Keller, who disagreed with him, has been laughed out of the same rooms. She's won prizes for her research. Can they both be right?

There are multiple stories here. First, there is a story of a scientist who had a crazy idea and some data, which took decades for scientists to confirm. Then, there's a second story, of a scientist still fighting for her own version, one which would upend those decades. Plus, there's the underlying story, of what killed off all the dinosaurs. Between story one and story two, there's still uncertainty about story three.

It's been called "The Nastiest Feud in Science." It's still ongoing, even though now they do know where the asteroid hit. The crater is in the Yucatan.

Story One: We Found the Crater

As I have discussed in earlier blogs about the K-Pg Boundary and on the Dino-Apocalypse, the currently accepted idea is that a Castro Valley-sized (about 40 km2) asteroid slammed into the earth and caused the extinction of the dinosaurs. That's not news to you.

As a quick recap, here's how that knowledge emerged. Nobel-prize winning astrophysicist Luis Alvarez was consulting with his son Walter on some odd aspects of the geology at the boundary of the Cretaceous. They discovered high concentrations of iridium, which is an extraterrestrial element. Over time, the discovery of that element around the world at the K-Pg boundary--the time between the end of the Age of Dinosaurs and the beginning of the Age of Mammals--convinced Alvarez and a few others that something extraterrestrial was the cause. This led to the shocker, the scientific publication of their findings as "Extraterrestrial cause for the Cretaceous–Tertiary extinction" in 1980. However, there was something missing. Alvarez ended the paper saying...

...we would like to find the crater produced by the impacting object...

Science magazine, June 1980

(FYI, if you can't access this article behind a paywall and would like to see it, send me an email--see my bio.)

The Alvarezes and the boundary, wikipedia.

Two things happened in the years after this 1980 publication. One was that the paleontology community did not immediately welcome Alvarez the "astronomer" butting his nose into their discipline. Alvarez, in turn, was ultimately a bit thin-skinned about it. A lot of names were hurled. His theories were dismissed and his waving around his Nobel Prize didn't seem to convince anyone. At one point he called the paleontologists "stamp collectors" and labeled some of their arguments as laughable. That didn't seem to help his cause.

The second thing, though, was a remarkable coincidence. Consider that no one until 1980 knew anything about giant asteroids or craters at the K-Pg. Except that someone had found something, and only a few years earlier. Down in the Gulf of Mexico, petroleum geologists working with the Mexican company Pemex had presented data that there were odd things at the site. Magnetic anomalies. Pieces of rock that suggested things. The scientists gave the data to their bosses at the oil company in the 1960s and 1970s. Pemex stuck them in a drawer.

In 1978, Glen Penfield was flying over the Gulf surveying the site for Pemex and detected a giant circle of magnetic anomalies in the area. It was way too big for a volcano. Along with Antonio Camargo-Zanoguera, Penfield concluded the saucer-shaped area had to have another cause. Penfield said he sent his data to the Alvarez team but never heard back. He and Camargo-Zanoguera presented their findings at a 1981 geophysicist conference. However, most of the people who might have connected the dots weren't there--they were at another conference debating Alvarez' theory. (Ha! Black fly in the Chardonnay there!)

3-D imaging suggests the crater came in at a 45 degree angle, from CraterExplorer.com.

Pemex wasn't interested, and other scientists didn't seem to be. A warehouse burned down some of the records and core samples. The "search" for the crater continued, until a Canadian geologist, Alan Hildebrand, called them about a weird rock he found in Haiti, in the Gulf. The three put their heads together and, by 1991, they presented their answer to the puzzle. A sizeable asteroid had slammed into the Gulf of Mexico and created 100-mile diameter crater. Iridium blew into the atmosphere as well as "shocked" rocks of various types. They had found Luis' crater from the asteroid that hit at the K-Pg boundary.

Luis Alvarez passed away from cancer, three years before the data was published. But he had been right.

From Myer, Petersen et al analysis of Late Cretaceous paleogeography.

Story Two: Racing to Be the First Disaster

Gerta Keller wasn't satisfied. Keller is a geologist and paleontologist at Princeton who started specializing in mass extinction events, beginning with the Eocene-Oligocene event that led to the Ice Age. Because that event was influenced by volcanic and tectonic changes from the Indian subcontinent, still moving toward Asia 30 million years ago, Keller got interested in the region. There was an entire coastline of volcanic land along western India, called the "Deccan Traps." Keller became convinced that they were also part of the story of the demise of the Cretaceous.

As an aside, I should note that both Alvarez and Keller have links to --the Bay Area! Alvarez came from Berkeley, my alma matter. Keller went to San Francisco State and Stanford, the arch-rival of UCB, though I doubt that school rivalry had anything to do with what went down. Rather, both of them were brilliant scientists who were told to go jump in the lake, which generated a note of professional arrogance and a soupcon of desire to Prove Everybody Wrong.

Gerta Keller and her Allosaurus friend, from her website.

Keller strongly felt that the asteroid impact was over-rated. Whether an asteroid did or didn't hit the earth or where the crater was didn't matter to her. Once it was fairly well established that the Chicxulub crater hit at 66.04 +/- .011 million years ago, that set a pretty clear timeline. She began pointing out, in those 1980s debates over the asteroid, that some of the extinction flora and fauna ("biotic" material) had begun a few hundred thousand years before Chicxulub. Paleontologists had been saying so for years, which is partly why they didn't like the asteroid theory--the die off in the fossil record was slow. She thought the Deccan Traps were a likely culprit.

Over several decades, she authored and co-authored more than a hundred papers on the topic of this mass extinction and the Deccan Traps. She looked at mercury levels, the dispersal of iridium, the types of biotic material that existed before and after. Her work was intricate, sophisticated, and strongly supported.

One of Keller's papers, showing that mercury emissions from the Deccan traps could be precisely linked to KPg timing. Photo from researchgate.

Consider, too, that she was a woman scientist growing up in the days when women were taught home economics, not science. She had to fight much harder, coming into the field, in order to get the position she obtained. Her work was probably always challenged, so she learned to make it as airtight as possible.

Her view is that once the asteroid hypothesis was proposed by the mid 1980s, nothing else could get any air time. Accordingly to profiles of her in the Atlantic and The New York Times, the "impacters" scoffed at her, much as others had earlier scoffed at Alvarez. She says she was called a troublemaker, "bitch," and "the most dangerous woman of the world" who should be burned at the stake. Strangely enough, the acrimony that she claimed was directed at her seemed in strong parallel with what was directed at Alvarez, who had the opposing theory.

At least in some staid conferences, son Walter seemed to play peacemaker. Alvarez fils has said in more than one venue that both the volcanic activity and the asteroid might have been the one-two punch required to take down the sophisticated dinosaur reign, which had gone unchecked for so long. It's a curious offshoot of the topic that this scientific rivalry became so bitter.

Paging Bitter, Party of One...

The reason for the bitterness is likely complex. In the first place, we all love dinosaurs, right? I've just written 25,000 words on the topic of these magnificent creatures. We all want to know what happened. Secondly, the idea of a world-influencing asteroid is really sexy science. It's why there was so much resistance to Alvarez' cockamamey notion in the first place. The paleontologists probably knew that if he was right, there would be no end to the National Enquirer-style headlines and graphics.

The traumatized pachycephalosaurus! Graphic from cdn.mos.

When science gets this much attention, it's career-making. We're talking floods of money for lab equipment, international travel, tenure, press releases--whether you're talking about how the asteroid killed all life or arguing that it didn't. Even the Wikipedia entry that just documents the timeline of the diverse discussion about the K-Pg boundary event lists 186 papers alone.

In an attempt to try to end the feuding, 41 scientists pored over the data and co-published an analysis with their conclusion: the asteroid impact caused the mass extinction. But that was in 2010, and the debate still rages on.

Story Three: Why It's Hard to Be Precise

Keller's work has repeatedly concentrated on the timeline to show that the Deccan volcanic traps occurred first. Her results strongly suggest that volcanoes were spewing out plenty of toxic material for a long time before Chicxulub was heading for Cancun. The fossil record has long shown this beginning of a die-off before the end of the Cretaceous. There wasn't a "day" that the dinosaurs died, no matter how loudly the kettle drums beat in Youtube videos.

Bad science fiction, not good science. Graphic from Youtube.

Not being a scientist, I can't speak to all the science. Being a historian, however, there are two things I see which complicate matters. The first is the idea of "precision." Sure, radiometric dating and other new technologies are giving scientists the ability to date more precisely. But plus or minus tens of thousands of years is still a long time. I can see that mounds of evidence put together--chemical composition, site dispersal, and the prevalence of specific flora--can be convincing. Yet at the end of the data, it's still primarily suggestive, whether it's a giant asteroid or exploding volcanoes. Both would have undoubtedly had an impact for hundreds of years. Which came first would give the "discoverer" the popular opinion version of a Nobel Prize. But could we ever really know?

And then there are the fossils. We're all sitting atop a K-Pg boundary that's not been dug up. Paleontologists know what they know based on what they've found, but it's partly because of where they were--Utah, Mongolia, Haiti. We can know that there were comparatively more here and comparatively less there, but it's educated guessing. We might be incredibly certain that the T Rex lived during a specific part of the Cretaceous. However, whether his massive jaws or strong powerful legs were more of a contributor to his success is hard to say.

Which invention was more important in your life, the telephone or the computer circuit? Or literacy? The plow? Once we get into the "most important" or "came first" or "most significant contribution" arguments for things which probably all occurred and all contributed, then it's guesswork. Forty-one people agreeing on Cause A doesn't mean it really was Cause A. No matter how smart those 41 people are.

Illustrated by Denise Nestor, from the Atlantic.

The bad part of all this is that we don't quite still know how the dinosaurs died off, and people's careers have been tarnished by all the infighting.

But it's not the first time scientists have fought over dinosaurs. Remember back with letter "I"? Gideon Mantrell was stabbed in the back by Richard Owen. Both of them downplayed the contributions by Mary Anning. I didn't even have time in 25 posts to discuss the "dinosaur wars" in the American West, where Cope and Marsh were stealing each other's fossils. Paleontologists have long had to hire security guards to watch their discoveries while they sleep. There is a pretty long history of acrimonious fighting over dinosaurs.

I might argue it's not ultimately bad for scientists to disagree. Some--maybe even most--of this disagreement has been healthy for science. The crazy asteroid theory launched a whole new interest in paleontological research, helping to turbo-charge the dinosaur renaissance. The Deccan trap theory has kept it going and fueled interest. New technologies have been discovered and new ways of proving a theory.

That is the essence of what science is supposed to be. It would just be nice if they'd leave the name-calling out of it.

Comment

THE PAGE TURNS © 2024. Manage your email settings or unsubscribe.

WordPress.com and Jetpack Logos

Get the Jetpack app

Subscribe, bookmark, and get real-time notifications - all from one app!

Download Jetpack on Google Play Download Jetpack from the App Store
WordPress.com Logo and Wordmark title=

Automattic, Inc. - 60 29th St. #343, San Francisco, CA 94110  

at May 01, 2024
Email ThisBlogThis!Share to XShare to FacebookShare to Pinterest

No comments:

Post a Comment

Newer Post Older Post Home
Subscribe to: Post Comments (Atom)

DGH Neurodivergent Consultancy Is Becoming NeuroHub Community Ltd

Some changes are administrative. Others are tectonic. ͏     ­͏     ­͏     ­͏     ­͏     ­͏     ­͏     ­͏     ­͏     ­͏     ­͏     ­͏     ­͏ ...

  • [New post] “You Might Go to Prison, Even if You’re Innocent”
    Delaw...
  • Autistic Mental Health Conference 2025
    Online & In-Person ͏     ­͏     ­͏     ­͏     ­͏     ­͏     ­͏     ­͏     ­͏     ­͏     ­͏     ­͏     ­͏     ­͏     ­͏     ­͏     ­͏    ...
  • [Blog Post] Principle #16: Take care of your teacher self.
    Dear Reader,  To read this week's post, click here:  https://teachingtenets.wordpress.com/2025/07/02/aphorism-24-take-care-of-your-teach...

Search This Blog

  • Home

About Me

GenderEqualityDigest
View my complete profile

Report Abuse

Blog Archive

  • January 2026 (39)
  • December 2025 (52)
  • November 2025 (57)
  • October 2025 (65)
  • September 2025 (71)
  • August 2025 (62)
  • July 2025 (59)
  • June 2025 (55)
  • May 2025 (34)
  • April 2025 (62)
  • March 2025 (50)
  • February 2025 (39)
  • January 2025 (44)
  • December 2024 (32)
  • November 2024 (19)
  • October 2024 (15)
  • September 2024 (19)
  • August 2024 (2651)
  • July 2024 (3129)
  • June 2024 (2936)
  • May 2024 (3138)
  • April 2024 (3103)
  • March 2024 (3214)
  • February 2024 (3054)
  • January 2024 (3244)
  • December 2023 (3092)
  • November 2023 (2678)
  • October 2023 (2235)
  • September 2023 (1691)
  • August 2023 (1347)
  • July 2023 (1465)
  • June 2023 (1484)
  • May 2023 (1488)
  • April 2023 (1383)
  • March 2023 (1469)
  • February 2023 (1268)
  • January 2023 (1364)
  • December 2022 (1351)
  • November 2022 (1343)
  • October 2022 (1062)
  • September 2022 (993)
  • August 2022 (1355)
  • July 2022 (1771)
  • June 2022 (1299)
  • May 2022 (1228)
  • April 2022 (1325)
  • March 2022 (1264)
  • February 2022 (858)
  • January 2022 (903)
  • December 2021 (1201)
  • November 2021 (3152)
  • October 2021 (2609)
Powered by Blogger.